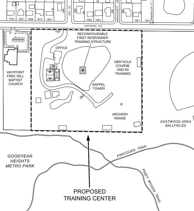
Here is the proposed site of a private defense training center that would be built on the former Eastwood Swim Club property in Goodyear Heights in Akron.
Here is the proposed site of a private defense training center that would be built on the former Eastwood Swim Club property in Goodyear Heights in Akron.
Home » News » National News » Ohio » Private tactical training complex proposed for Goodyear Heights site
Ohio

Private tactical training complex proposed for Goodyear Heights site

The owners of the former Eastwood Swim Club want permission from the city of Akron to transform the family property next door to Goodyear Metro Park into a sprawling tactical training complex.

The plan submitted to the Akron City Planning Commission outlines a proposed 3,840-square-foot facility at 1928 Eastwood Avenue that would be used by fire, EMS, SWAT, local police and individuals seeking self-defense training.

Video Thumbnail

“I think there’s some misconception as we started this process of what exactly we’d be doing,” said Rob Walker, speaking on behalf of his family. “Just to clarify, it’s not your stereotypical gun range where people line up to shoot. It’s under a controlled environment by professionals.” Use of so-called “simunition” rounds — “reduced energy, nonlethal rounds that leave a wax, detergent-based, or water-soluble color marking compound to allow accurate assessment of simulated tactics” — would render gunshots inaudible to neighbors and parkgoers, he said. Music from the former swim park would have been louder than the simunition, he said.

The family’s attorney said the facility would be operated as a family business. According to Planning Commission documents, the Walker family opened the Eastwood Swim Club on the property in 1954, operating it until approximately 2014.

Because the surrounding area is zoned residential, the Walkers need a conditional use permit from the city. The Planning Commission voted 3-1 to approve the plan at its Feb. 13 meeting. The proposal now goes to Akron City Council, which will schedule a hearing on the matter before voting on the permit.

Walker said the facility could also be put to use for charity events, like local Iron Man competitions with firefighters, police, or community members on a potential military-style obstacle course.

“There’s a lot of potential for this outside of just firefighter, EMS, first responders,” Walker said.

“There really isn’t anything else that offers this,” he said. “We believe it’s needed. It could be fairly valuable to the city of Akron.”

What are the plans for the facility?

According to plans filed with the commission, the first phase of the facility would be constructed by Forge Fire & Co. “which specializes in creating rugged, reconfigurable units that will endure the rigors of repeated training sessions. While appearing similar to a set of stacked containerized units, they are uniformly painted, typically black, with an accent color for available for door, railings, and other trim pieces.”

The three-story building would be constructed in the empty pool on the premises, meaning the 27-foot-tall structure would be roughly 20 feet above ground level.

No live ammunition would be utilized, the documents said, and no simulated or actual fire would be used during fire and EMS training. The Walker family would partner with Achilles Heel Tactical for use-of-force training.

A potential second phase would include memberships for an archery range enclosed by netting; the basketball and tennis courts already on-site would be available for use. The plans say there will be a buffer between the archery range and Goodyear Metro Park, and elevated platforms will necessitate aiming at the ground.

“A third phase could offer a rappel tower offering descents from 30 feet above ground into the deep end of the pool,” the plan states. “Also envisioned are a military style obstacle course and K9 training course.”

What does the community think?

Ward 10 Akron City Councilwoman Sharon Connor, who represents the area, said she had misgivings at first, but the Walker family took time to speak with her, Ward 6 Councilman Brad McKitrick and former Zoning Manager Mike Antenucci and “answered all our questions, waylaid all our fears and misconceptions.”

Connor said it wasn’t only a good opportunity for the city’s safety forces, but for the city’s young adults and its sports teams. The obstacle course, she said, could be used for team building.

“Much like we have ‘Golf with a Cop,’ think of doing the obstacle course with young adults,” Connor said. “I think it has a lot of potential here, and I think it’s a great innovative way to use a property that has been vacant for a long time.”

Mark Szeremet, Summit Metro Parks’ chief of planning and development, said the park district is neither in favor or opposed to the facility, and that complexs like these are “necessary to help law enforcement for public safety.”

He confirmed there would be no gunfire outside “that disrupts the tranquility of the neighborhood and park areas that the property is surrounded by.”

Szeremet said the buildings must be soundproofed to prevent noise pollution into the surrounding areas.

“The park district does not want to alter the residential character of the area and hinder the ability of the park users to enjoy nature,” he said.

Steve Barket sent a letter to the commission outlining his opposition to the proposed facility. Among concerns over parking, traffic, noise and runoff and chemical pollution, he was concerned that the complex might draw unwanted attention.

“Given the recent high-profile protests surrounding similar law enforcement and ICE training facilities in our region,” he wrote, “I am concerned that this location my attract increased civil unrest or heightened activity that is incompatible with a residential area and a youth sports hub.”

An unsigned letter detailed concerns including “visual blight.”

“A 27-foot-tall industrial shipping container structure is aesthetically jarring and completely out of character for a residential street,” the letter said. “It resembles an industrial yard or a military base rather than a neighborhood amenity.”

Tallmadge resident Michael Carano lives within 100 yards of the site of the proposed facility, he said.

“This proposal is fundamentally incompatible with the character of the residential neighborhood and the adjacent Goodyear Metro Parks,” he said. Carano said, “I object fundamentally to the whole cop city proposal that this is,” he said. Cop City is the nickname given to the Atlanta Public Safety Training Center located near Atlanta, Georgia that was overwhelmingly opposed by residents in the area. In recent years, he said, policing has been turned against residents.

“There’s no reason why, I feel, a training facility should exist,” Carano said. “Would rather have the money and things put toward training a policeman how to do community policing, things like that. They’re arming them for what? (What) are they arming these people for? Are we expecting an invasion from some other country or something?”

Contact reporter Derek Kreider at DKreider@Gannett.com or 330-541-9413.

This article originally appeared on Akron Beacon Journal: Private tactical training complex proposed for Goodyear Heights site

Reporting by Derek Kreider, Akron Beacon Journal / Akron Beacon Journal

USA TODAY Network via Reuters Connect

Image

Related posts

2 comments

lee lentz February 15, 2026 at 1:15 pm

I agree with Michael Carano-there is no reason why this training facility should exist in our neighborhood-if Steve Barket or Michael Carano have petitons to sign-I want one!!!!!

Reply
lee lentz February 15, 2026 at 1:49 pm

TACTICAL TRAINING COMPLEX PROPOSED—I am in agreement with Michael Carano and Steve Barket-there is no reason why this facility should exist in our neighborhood-if they have petitions to sign -I want one!!!!

Reply

Leave a Comment