The oldest known trout in the Great Lakes was found, and she has a name: Mary Catherine.
Or “Grandma Mary Catherine” for the young’uns.
Grandma Mary Catherine was collected for research purposes in September 2023 from the cold waters of the Klondike Reef in Lake Superior, about 40 miles north of Grand Marais near the Canadian border, according to a release from the Michigan Department of Natural Resources.
An age assessment has since found that she was roughly 62 years old at the time – a whopping 20 years older than the last record holder in Lake Superior and more than 30 years older than a typical Lake Superior trout’s lifespan.
“When Grandma Mary Catherine hatched, the U.S. president was John F. Kennedy and Yuri Gagarin was the first human to go into outer space,” DNR fisheries research biologist Shawn Sitar wrote in the release.
“If fish went to school (high school that is, not just schools of fish), she would have graduated from Klondike Reef High School in the same year as Meg Ryan, Princess Diana and Barack Obama reached that milestone.”
Wondering how researchers can know that?
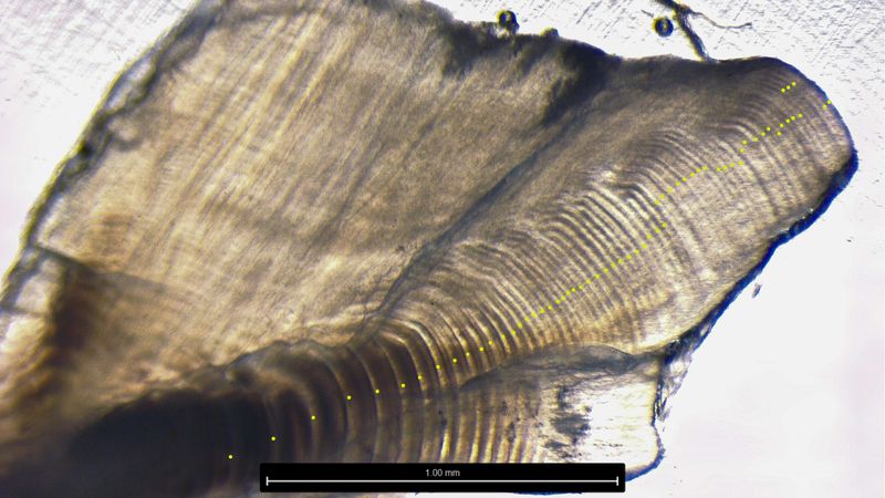
Like humans, lake trout have an “otolith” or ear stone in their inner ear, Sitar wrote.
As the fish grows, so does that otolith and rings are left behind each winter.
Researchers can then count the rings like tree rings to estimate the trout’s age.
Grandma Mary Catherine is believed to have hatched in 1961. “Mary” was a common name for babies around then.
As is typical for such research, Grandma Mary Catherine died in the collection, confirmed DNR spokesman John Pepin.
The research aimed to inventory the subspecies at the reef and study their reproductive biology to help fisheries better understand where to stock these fish and what to expect, according to the DNR.
She was nabbed by researchers from the DNR, the U.S. Fish and Wildlife Service, the University of Wisconsin-Milwaukee and Purdue University.
A fisheries technician, Dan Traynor, assessed Grandma Mary Catherine’s age in March 2024.
The same year, officials announced the Lake Superior Trout population as finally rehabilitated after collapse by the 1950s due to invasive sea lamprey and commercial fishing, the DNR stated.
The old girl one-upped a 42-year-old trout found in 1998 in Lake Superior.
She’ll be remembered as an unremarkably sized humper lake trout just short of 25 inches and under 5 pounds – and a notable member of the trout population’s comeback.
This article originally appeared on Detroit Free Press: Meet Grandma Mary Catherine, the oldest known Great Lakes trout
Reporting by Darcie Moran, Detroit Free Press / Detroit Free Press
USA TODAY Network via Reuters Connect



